Meteoroloji’nin Ege kıyıları için uyarılarının ardından İzmir, Muğla ve Aydın’da etkili olan kuvvetli fırtına ve sağanak yaşamı olumsuz etkiledi.
Fırtına
İstanbul Valiliği, Marmara ve Batı Karadeniz’de yarın sabah başlaması ve gün içinde etkisini artırması beklenen fırtına nedeniyle vatandaşları uyardı.
Çanakkale Boğazı, fırtına nedeniyle trafiğe kapatıldı. Bozcaada ilçesine yapılması planlanan tarifeli tüm feribot seferleri, Gökçeada ilçesinde ise bazı feribot seferleri iptal edildi.
Kocaeli’de etkili olan şiddetli fırtına, kent genelinde büyük hasara yol açtı; tırlar devrildi, cami minaresi yıkıldı, çok sayıda binanın çatısı uçtu, deniz ve kara ulaşımı aksadı.
Yeni yıla karla giren ve önümüzdeki günlerde fırtına beklenen İstanbul için AKOM’un ardından İGDAŞ’tan da uyarı geldi.
Marmara Bölgesi’nde, yarından itibaren İstanbul’un da aralarında bulunduğu bazı illerde kuvvetli rüzgar ve fırtına bekleniyor. İstanbul Büyükşehir Belediyesi Afet Koordinasyon Merkezinden (AKOM) yapılan açıklamaya göre, İstanbul başta olmak üzere Türkiye’nin büyük bölümünde etkili olan soğuk ve kar yağışlı hava, yerini ılık bir havaya bırakacak.
Meteoroloji Genel Müdürlüğü, Batı Karadeniz, Marmara ve Kuzey Ege için fırtına uyarısında bulundu.
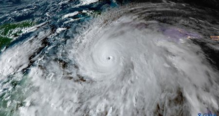
Jamaika, 174 yılın en güçlü kasırgası Melissa’nın etkisi altında. Saatte 280 kilometreye ulaşan rüzgarlar adayı vururken hükümet tahliye emri verdi. Ancak yağmacılardan kokran halk herşeye rağmen evlerini terk etmeyi reddediyor, yetkililer ise “ölümcül sel ve toprak kayması” uyarısı yapıyor.
AKOM, İstanbul genelinde etkili olması beklenen fırtına ve sağanak yağışlara karşı uyarıda bulundu. AKOM, sıcaklıkların 10 derece birden düşeceğini, yer yer dolu, yıldırım ve kuvvetli rüzgarların görülebileceğini belirterek yurttaşları dikkatli olmaya çağırdı.
Güneşte oluşan koronal deliklerden kaynaklanan hızlı parçacık akışı, ABD’nin kuzey eyaletlerinde orta şiddette jeomanyetik fırtına uyarısına neden oldu.









